
- VIP
4 984 650 KGS
57 000 USDПродается участок
5 соток, Красная книга
участок 5 соток в самом центре исскуля. Рядом Кыргызское взморье и Байтур . от пляжа 200метров. чистый берег. красная книга.Вход•Регистрация
+996 706 701 0xx
Чон Сары-Ой
Площадь участка (соток):
15
Тип сделки:
Правоустанавливающие документы:
Тип предложения:
Услуги риэлтора:
Применение:
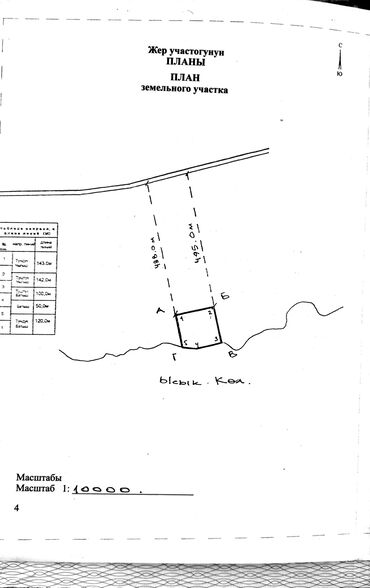
Чон-Сары-Ой участок Иссык‑Куль, близко к озеру .
Описание:
- Локация: побережье Иссык‑Куля, вблизи трассы А363; ориентир — зона с отметкой Good Land на карте. До асфальтированной дороги ~480–495 м (по схеме привязки).
- Положение: участок первой линии у воды, выход к береговой линии.
- Конфигурация: прямоугольная/квадратная форма (по плану с точками А–Б–В–Г).
- Документы: имеются план земельного участка и ситуационный план с привязкой к местности, масштаб 1:10000. На схемах указаны координатные точки и подписаны расстояния до дороги.
- Окружение: открытая прибрежная зона, рядом природные бухточки, с обеих сторон свободное пространство. Поблизости — сельская застройка Орнек/Центири и инфраструктура вдоль А363.
- Потенциал использования: размещение рекреационных объектов, баз отдыха, кемпинга, домиков у озера или частной резиденции с панорамным видом на воду.
Преимущества:
- Первая линия Иссык‑Куля.
- Удобный подъезд от трассы А363.
- Ровный рельеф и простая геометрия участка для проектирования.
- Подтверждение расположения официальными схемами привязки. площадь участка 2 гектара, сотка 800 $ могу поделить как на фото .
Для строительства лёгкого и тяжёлого конструкции
2 098 800 KGS
1 049 400 KGS
12 000 USD
Был(а) в сети 13 ч. назад
Отвечает на 95% сообщений Обычно в течение 3 ч.

4 984 650 KGS
57 000 USDПродается участок
5 соток, Красная книга
участок 5 соток в самом центре исскуля. Рядом Кыргызское взморье и Байтур . от пляжа 200метров. чистый берег. красная книга.
874 500 KGS
10 000 USDПродается участок
5 соток, Для бизнеса, Красная книга, Тех паспорт, Договор купли-продажи
Ысыккөлдөн жер сатылат. Кызыл китеп подстроительство. Срочно 10.000$ Тон району «Бар Булак» пансионаты. Горячий источниктин жанында. Обьект салып коюп келип эс алса болот. Видеосу керек болсо номер...
1 049 400 KGS
12 000 USDПродается участок
4 соток, Для бизнеса, Договор купли-продажи
Срочно Продаю участок 4.2 соток на Иссык Куле поворот пост ГАИ Чолпон Ата напротив пансионатов Акун и Ак Бермет рядом горячие источники работают круглогодично участок предназначен для строительст...
1 355 475 KGS
15 500 USDПродается участок
15 соток, Для бизнеса, Красная книга, Договор купли-продажи
Продается земельный участок площадью 15 соток, расположенный в Иссык Кул Оргочор - На участке посажено около 70 молодых яблонь - Имеется государственный акт о праве частной собственности на земельн...
2 186 250 KGS
25 000 USDПродается участок
4 соток, Для бизнеса, Красная книга, Договор купли-продажи
Продаю участок в Чон Сары Ой на берегу Иссык-Куля, до озера 230 метров, 4,5 сот правильной формы, красная книга, договор купли-продажи, назначение на Строительство Коттеджей и гостевых домов. Рядом...
1 923 900 KGS
22 000 USDПродается участок
17 соток, Для строительства, Красная книга
Юг Тонский район село Шор-Булак.Продаётся земельный участок с оформленным правом частной собственности (есть государственный акт/красная книжка, серия Ч). Характеристики: - Категория: частная собс...
Договорная
Продается участок
5 соток, Красная книга
Продаются участки 10,4 сотки и 5 сотки у озера Иссык-Куль (с. Корумду) Земля в частной собственности с панорамным видом! Идеально для сада, легкого дачного домика или кемпинга. --- ✅ ГЛАВНЫЕ ПРЕ...
4 984 650 KGS
57 000 USDПродается участок
5 соток, Красная книга
участок 5 соток в самом центре исскуля. Рядом Кыргызское взморье и Байтур . от пляжа 200метров. чистый берег. красная книга.
3 760 350 KGS
43 000 USDПродается участок
15 соток, Красная книга
Земельный участок с панорамным видом на озеро Иссык куль 15,2Сотки. В наличии два участка по 15,2соток,участки примыкают, возможно обьеденить. на схеме номера 5-6. Размеры 18х85Метров. - Прямой отк...
5 684 250 KGS
65 000 USDПродается участок
12 соток, Для бизнеса, Красная книга
Продаю участок 12 соток у озера Иссык-Куль, с. Тамчы (рядом с аэропортом). ✅ Идеальное место для бизнеса или отдыха – рядом аэропорт, удобный подъезд, живописный вид, песочный пляж. ✅ Документы г...
6 636 000 KGS
Продается участок
10 соток, Для строительства, Красная книга
Земельный участок 10 и 5 соток у пансионатов «Кыргызское взморье», «Мурок», «Bonur» (Иссык‑Куль) - Назначение: ИЖС/строительство (по схеме квартальной разбивки — участки №8–10 по 500 и 1000 м²). -...
603 405 000 KGS
6 900 000 USDПродается участок
2922 соток, Для бизнеса, Красная книга, Тех паспорт
1-я ЛИНИЯ северного берега о. Иссык-куль, 100 метров до озера! Продажа участка. площадь 29, 22 Га. Стоимость участка $6 900 000, возможен торг. Продажа участка «Изумрудный берег» под строительств...
1 000 000 KGS
Продается участок
5 соток, Для строительства, Красная книга, Генеральная доверенность
- Участок находится на севере Ыссык - Куля. - 5 соток. - Красная книга (Гос.акт). - на меня оформлен ч/з Госрегистр. - налог уплачен. - Под строительство дома. - Свет и вода рядом. - Свежый воз...
3 060 750 KGS
35 000 USDПродается участок
35 соток, Для сельского хозяйства, Красная книга, Договор купли-продажи
Продаю Участок на берегу Иссык Куля Расположен напротив Пансионата Бостон Кажы Сай 500 метров от берега Можно строить Афрейм домики, Барнхаус, Глемпингы 35- соток Цена: 35000$ Рассмотрим вариа...
Договорная
Продается участок
8 соток, Для строительства, Красная книга
Земельный участок 8 соток на берегу озера Иссык‑Куль, расположение — село Чырпыкты (ориентир: Бишкек-Чолпон ата 210 км). Точка на карте — до берега 400 метров прямой выход к озеру; вокруг — откры...
2 710 950 KGS
31 000 USDПродается участок
5 соток, Для строительства
Участок у озера Иссык-Куль, Чон-Сары-Ой - Локация: первая линия у воды, район пляжа Chong Sary Oy Beach, рядом с кафе и гостевыми домами («San-Lun» Guest House, «Шанти», «ГульХаят», «Ай-Рус», таун...
3 498 000 KGS
40 000 USDПродается участок
1000 соток
Срочно продается Земельный участок 1 га в Иссык-Куле, район Бар-Булак (недалеко от горячего источника Бар‑Булак+). возможно в обмен на авто. тел: Характеристики: - Назначение: индивидуальная (ч...
3 935 250 KGS
45 000 USDПродается участок
8 соток, Для строительства, Договор купли-продажи
🏞️ Продаю участок в селе Чон-Сары-Ой (Иссык-Куль)... 📐 Площадь: 8 соток. 📍 Расположение: первая линия от озера, всего 700 метров до воды. ⚡ Коммуникации:. — Электричество проведено. — Водопровод по...
104 940 KGS
1 200 USDПродается участок
300 соток, Красная книга
Земельный участок с постройками и документами Участок 3 гектар, на южном берегу Иссык куля, село Дархан, до берега 200 метров,отличный пляж. - Назначение: частная собственность на земельный участо...
1 749 000 KGS
20 000 USDПродается участок
8 соток
Земельный участок у озера Иссык-Куль, Кыргызстан - Местоположение: побережье Иссык-Куля между Сары-Камышем и Торуу-Айгыром, рядом с трассой А363 (см. отметку на карте на фото). - Категория: част...
82 640 250 KGS
945 000 USDПродается участок
189 соток, Для бизнеса, Договор купли-продажи, Красная книга
Земельный участок на берегу озера Иссык-куль ждёт своего хозяина! 🧭Северный берег. Село Орукту. 🟢Актуально. 📌189 соток. ✅Первая линия парко-пляжной зоны. ✅Термально-минеральный источник. ✅Вода без ...
1 661 550 KGS
19 000 USDПродается участок
5 соток, Для строительства, Генеральная доверенность, Договор купли-продажи
Земельный участок на берегу озера Иссык‑Куль, с.Кара Ой - Участок примыкает к общей (курортной) дороге, удобный подъезд. - Под бизнес А-фреймы Танхаусы Кафе Ресторан Фасфуды идеяльно. - Рядом...
1 311 750 KGS
15 000 USDПродается участок
3 соток, Для строительства
Земельный участок у озера Иссык-Куль, с. Кара-Ой (Советская) - Координаты участка: 42.615862, 77.020816 (точка на карте на скрине). - Категория: земли под ИЖС/дачное строительство по ситуационному...
Договорная
Продается участок
20 соток, Для сельского хозяйства, Красная книга
Земельный участок на берегу озера Иссык‑Куль, село Корумду (Иссык‑Кульский район). Основные параметры: - Назначение: частная собственность (имеется государственный акт — образец на фото). - Площад...